THY'nin İstanbul'daki Büyük Sırrı: Düşen Uçağın Enkazı Yıllar Sonra Bulundu
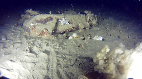
Marmara Denizi'ne 1975 yılında düşen ve enkazı 51 yıldır bulunamayan Türk Hava Yolları'na (THY) ait 'Bursa' isimli Fokker F-28 uçağının arama çalışmaları devam ediyor. Uzun süredir enkazı arayan Nedim Kuru ve ekibi, 5. kez yaptığı sonar taramasında bu kez de uçağa ait olduğu düşünülen alüminyum parçalar görüntüledi.
51 yıl önce yaşanmış, 42 kişi hayatını kaybetmişti.

Marmara Denizi'ne 30 Ocak 1975 tarihinde düşen, 42 kişinin hayatını kaybettiği ve o günden bu yana enkazı bulunamayan Türk Hava Yolları'na (THY) ait 'Bursa' isimli Fokker F-28 tipi uçağın enkazını bulma çalışmaları devam ediyor. Sanal medya ünlüsü Nedim Kuru ve ekibi bugün 5’nci kez Marmara Denizi Büyükçekmece ve Ambarlı çevresinde yaptığı çalışmalarda, su altı dronu deniz altında SONAR ve dip taraması yaptı. Yapılan taramalarda uçağa ait olduğu düşünülen alüminyum parçalar görüntülendi. Öte yandan Nedim Kuru, Marmara Denizi’nin içine bir anıt mezar yapmak için İstanbul Valiliği'ne başvuruda bulundu.
Daha önce yapılan arama çalışmaları sınırlı kalmıştı.

Kazada hayatını kaybedenler arasında teknik direktör Fatih Terim'in kayınpederi Kamuran Aksu ve şarkıcı Seyyal Taner'in hostes kardeşi gibi isimler de yer alıyordu. Dönemin teknolojik yetersizlikleri nedeniyle enkaz resmi olarak çıkarılamamış, arama çalışmaları sınırlı kalmıştı.
5’nci kez Marmara Deniz’i altında su altı dronu ile yaptığı çalışmalar hakkında bilgi veren Nedim Kuru, 'THY'ye ait 'Bursa' isimli 42 yolcusu ile birlikte düşen düşen yolcu uçağına 5’nci dalış operasyonu gerçekleştirdik. 7 saat boyunca uçağın düştüğü enkaz bölgesinde su altı dronu ile arama yaptık ve uçak enkazına ait diğer parçaları görüntüledik. Görüntüler arasında uçağa ait olduğunu düşündüğümüz alüminyum parçalar tespit ettik' dedi.
Keşfet ile ziyaret ettiğin tüm kategorileri tek akışta gör!






Yorum Yazın